Idaho Falls
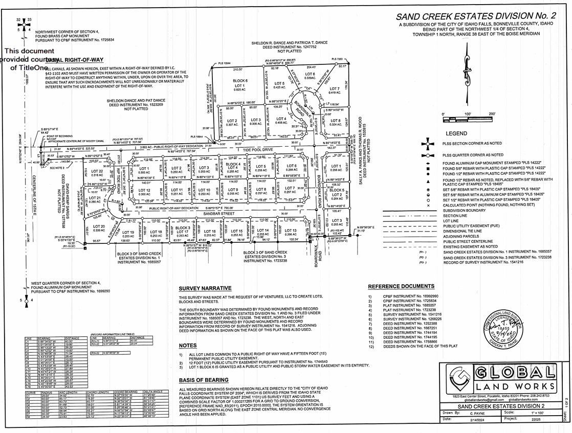
This is an Ariel View of the Subdivision:
This is a recoded document that explains what an owner in this subdivision must abide by. There are restrictions and policies that outline the way they want things to look and to operate.
You can click on the OPEN button to download the PDF document to review.
Castlerock Homes available in the Sand Creek Estates Subdivision
3,930 SqFt * 6
3 ![]()
3,570 SqFt * 5
3.5 ![]()

